
支援総額
目標金額 700,000円
- 支援者
- 87人
- 募集終了日
- 2021年12月31日

救う命を選ばない。どんな犬猫も保護し続け福岡の里親さんを増やしたい
#動物
- 現在
- 3,194,000円
- 支援者
- 301人
- 残り
- 20時間

北朝鮮向けラジオ放送「しおかぜ」|マンスリーサポーター大募集
#人権
- 総計
- 166人

入院する子どもたちを笑顔に!ファシリティドッグ育成基金2025
#子ども・教育
- 現在
- 7,058,000円
- 支援者
- 571人
- 残り
- 24日

行き場のない猫たちに幸せな明日を届けたい。保護猫たちの医療費支援を
#動物
- 現在
- 1,784,000円
- 支援者
- 139人
- 残り
- 28日

老病ねこたちが最後まで安心して過ごせるおうちを守っていきたい!
#医療・福祉
- 現在
- 2,039,000円
- 支援者
- 161人
- 残り
- 7日

アリスサポーター募集 保護犬猫の未来のために医療費のご支援を!
#動物
- 総計
- 35人

サポーター募集!認知症の人や家族同士がつながり続けるために
#子ども・教育
- 総計
- 23人
プロジェクト本文
終了報告を読む
▼自己紹介
はじめまして内海崇と申します。
▼プロジェクトを立ち上げたきっかけ
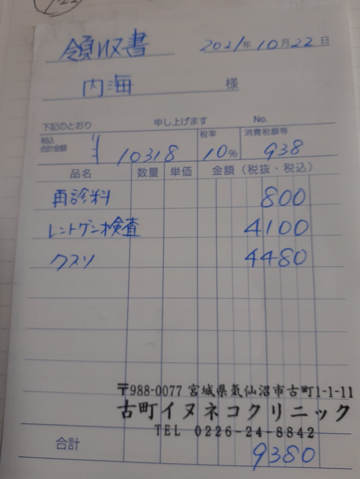
10月22日愛犬の柴犬玲央(レオ)12歳が睾丸肥大症により睾丸摘出手術をしなければならないと診断されました。またその後病理検査で悪性だった場合がんの転移も検査して状況次第では放射線治療を長期間することになるとお医者さんから伝えられました。どうか助けて下さい。よろしくお願いいたします。
▼プロジェクトの内容
11月8日に摘出手術を受けるのですが医療費が高くその後の放射線治療費用とリハビリ費用の合わせてのご支援をよろしくお願いいたします。そして長生きさせてやりたいです。
尚支援期間中に万が一死亡した場合には期間中の治療費用だけ支援金を使わせて下さい。そして使わなかった残りの支援金は日本盲導犬協会仙台訓練センター様に寄付致します事をご了承下さい。日本盲導犬協会仙台訓練センター様には10月28日既にご連絡承認を頂いております。またその際は当方より領収証の開示を致します。
11月8日手術前検査にて血尿も確認され尿路結石症の治療も現在合わせしております。
※11月12日夕方5時頃クリニックの先生から直接電話が来ました。病理検査の結果は悪性だったとの事でした。治療方針はこれから考えましょうとのご報告だけでした。
※新着情報に投稿したとおり肝臓への転移が中程度~やや強いという病理検査報告書でした。
▼プロジェクトの展望・ビジョン
社会貢献 動物の保護 犬の保護 柴犬の保護
※目標金額を達成しなかった場合リターンは出来かねますのでよろしくご了承お願いいたします。
- プロジェクト実行責任者:
- 内海崇
- プロジェクト実施完了日:
- 2021年12月31日
プロジェクト概要と集めた資金の使途
柴犬玲央の睾丸肥大摘出手術代金治療と検査結果次第ではがんの放射線治療とリハビリ資金に使わせて頂きます。
あなたのシェアでプロジェクトをさらに応援しよう!
プロフィール
愛犬家特に柴犬
あなたのシェアでプロジェクトをさらに応援しよう!
リターン
1,000円

感謝のメールと手術後の元気な玲央の画像
感謝のメールと手術後の元気な玲央の画像です。リターン不要な方はコメント連絡よろしくお願いいたします。
- 申込数
- 40
- 在庫数
- 制限なし
- 発送完了予定月
- 2022年1月
3,000円

感謝のメールと手術後の元気な玲央の写真3枚郵送
感謝のメールと手術後の元気な玲央の写真3枚郵送させて下さい。リターン不要な方はコメント連絡よろしくお願いいたします。
- 申込数
- 18
- 在庫数
- 制限なし
- 発送完了予定月
- 2022年1月
1,000円

感謝のメールと手術後の元気な玲央の画像
感謝のメールと手術後の元気な玲央の画像です。リターン不要な方はコメント連絡よろしくお願いいたします。
- 申込数
- 40
- 在庫数
- 制限なし
- 発送完了予定月
- 2022年1月
3,000円

感謝のメールと手術後の元気な玲央の写真3枚郵送
感謝のメールと手術後の元気な玲央の写真3枚郵送させて下さい。リターン不要な方はコメント連絡よろしくお願いいたします。
- 申込数
- 18
- 在庫数
- 制限なし
- 発送完了予定月
- 2022年1月
プロフィール
愛犬家特に柴犬










