
支援総額
目標金額 500,000円
- 支援者
- 93人
- 募集終了日
- 2023年3月7日
クロエの病状経過報告です。※15日追記あり
こんにちは。
昨日11日の午前中に病院へ行って診察を受けさせていただきましたご報告結果を
個々には申し伝えさせていただいておりましたが、個別メッセージには画像が載せられない為、
こちらでのお知らせとさせていただきたく存じます。
順を追って説明からさせて頂きますと、
8日夜、10箇所以上の黄色の嘔吐がありました。
しかし、この日は嘔吐があるまでは、朝も夜も食欲は通常通りありました。
9日朝、全くフードを受け付けなくなり、少量の猫用ミルクをシリンジで飲ませました。
夜も同様に受け付けず、チュールを少し指につけて舐めさせましたが、嫌がる感じ。
10日何も拒んで受け付けられなくなり、この朝、初めて尿が出ないことに気付きました。
トイレに行くものの、座って砂を掻いて出てきました後、尿が一滴もありません。
そのようなことが何度も見られました。
フランクとロメオが尿路結石により排尿不全となった事が続きましたので、メスではありますが、、
同じ症状のクロエに再度、不安が募ることとなりました。
フランクは皆さまに助けて頂きました手術で排尿できるようになり
一命を取り留めることができましたが、ロメオは食欲断絶が始まりで異常を感じてからすでに
腎不全が進んでしまった状態、結石による排尿不全、治療と数日入院の甲斐もなく、
結果 これ以上のもう手の施しようがなく助けることができませんでした。(自費)
そういった経緯から、同じ事を繰り返したくない思いでした。
11日の朝、病院では、血液検査と皮下輸液、制吐剤注射、抗潰瘍注射、抗生物質注射
などの処置を行いました。
検査の結果が午前中に出なかったので帰宅し、午後、電話にて要点の結果説明を受けましたが、
少し理解出来ない部分があった為、センターに送った方の検査結果と一緒に次の朝
本日の午前中、結果と薬を受け取り、お話を伺ってきたところ、現時点で
はっきりとどこが悪いか断定ができておらず、曖昧な感じであり 原因がわからないのですが、
交通事故に遭うとなるような身体組織への損傷が見られるそうです。完全室内飼いなので、
理由が見当たらないということになります。
肝臓機能が低下しているのと出血溶血の値が高いのと、尿素窒素が低い事から肝障害
(腎不全や尿毒症や尿路結石は逆に値が高くなるので、これはない)ことが判りました。
もしかしたら心臓に何かあるかもと思われセンターへ出した様なのですが 結果からは二つ
異常値がありましたが、触診や聴診では特別異常を感じられないので、様子を見て、
やれることをやっていきましょうという事でした。
原因が特定できない場合、やってはいけないことはやらない。やらなければならない事は
やってあげるしかないと言われましたので、先生の指示に従ってやってみようと思います。
ただ、先生は知らないうちに尿が出ているのではと仰っていましたが、やはり今朝9時の時点では
10日の朝と同じ状況が続いており、トイレへ入るが出ていない状態である為、それを伝えましたら、
薬が1種類増えておりました。そして、天井や高いところから落ちたのでは?と聞いて見ましたら、
猫なのでそれはないと断言されてしまいましたが、私にはそれくらいしか想像できず。。
身体の組織の損傷の原因特定は難しいまでも、取り急ぎ心配な排尿困難な状態から
解消してくれるように投薬してみます。
今日の帰宅後、制吐剤と抗生剤とステロイドを飲ませましたが、
亡きひめちゃんも飲んでいた制吐剤や抗生剤は、飲ませた薬に対して泡と涎を流してしまうほど
苦手なものなので、少し薬を飲ませるのに困難な数日となりそうです。。
まずはこの薬で様子を見て、終わり次第連絡を入れるということとなりました。
もし、このような状況や検査結果から何かわかることなどある方がいらっしゃいましたら、
クロエにとっても私にとっても心強いアドバイスとなりますので、お知らせいただきたいです。
どうぞ宜しくお願いいたします。
KD様 TY様 IS様 MS様 SK様 IM様 FT様 KH様 SM様 には、お優しいメッセージや
ご助言、温かい手助けを頂き、改めまして感謝を申し述べさせていただきたく存じます。
フランク同様、クロエの今後も見守っていただけたら幸甚です。。
取り急ぎご報告まで。ありがとうございました。引き続き宜しくお願い致します。
13日追記。
じっくり粘っていたのですが、13日朝10時半の時点で排尿が確認できません。
トイレが4個設置してあるのですが、そのふたつを交互に出たり入ったりしますが、
難しい顔でじっと長く座っているものの、砂を掻いて出てきて確認するのですが、
紙の砂は一滴も濡れていないです。
良かったこともあります。昨日薬をあげ始めて今日は2日目となります。
少量食欲が出てきました。缶やパウチやチュールは一切あげないでと言われていて、
全く食べられなくてもフードだけを根気よく出していたところ、フードを食べてくれました。
嬉しいです。食欲は快方へ向かえそうです。元気はまだ消失していて天井に上がったまま一日
隠れていますので、元気が戻ってくるのと排尿に期待します。度々追記を失礼いたします。
14日追記。
1日3回の制吐剤が終了し 1日5回の薬タイムから、今朝から1日2回の抗生剤とステロイド
のみとなりました。吐き気はおさまってくれています。フードも残しますが食べられています。
元気はないものの、食べられるようになってきたという事で大事ないかと思います。。
今朝は他の子と違い頭が熱いですが、顔つきも悪くない為さほど気にすることなさそうです。
一番気になっている排尿がずっと粘って見張っているのですが、今朝はトイレにも入らなくて
わからず(夜中などに出ているといいですが、家族4命同室なので目の前でないと確認取れず)
この後も観察してみます。度々追記を失礼いたします。
奥がニコラ♂ 手前がクロエ♀です。(15日朝、また手の届かない高所に登って寝ていました。)
15日追記。
1日2回になりましたお薬が今夜で終了の為、前もって来院するよう指示頂いており
ご連絡しましたところ、食欲が戻ってきていますので、(尿毒症の心配があると
フランクやロメオや最初の診察時のように食事も受けつけられないまま)
レントゲン不要との事でしたので、引き続き薬を取りに行きました。同3種類です。
クレアチニンキナーゼ値が高いのは、心臓が悪いのかもわからないけれど、聴診と触診では
心筋肥大等明らかな異常感じられていないので、日常に支障がなければ。尿と同時に様子を見ます。
薬を8日続けて終了次第、ご連絡となっています。
※尿の改善の為、療法食を試すこととなりました。
現在あげている市販のフードから、少しずつ量を増やして、移行していく予定です。
度々の追記失礼いたします。
院内検査結果
東京へ送った外部センター結果
薬
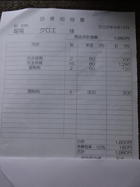
11日診療明細
12日投薬明細
15日投薬明細
薬
リターン
1,500円+システム利用料

感謝のメール a
お金に困っておりお礼のメールぐらいしか出来なくてごめんなさい。
- 申込数
- 31
- 在庫数
- 制限なし
- 発送完了予定月
- 2023年4月
3,000円+システム利用料

感謝のメール b
お金に困っておりお礼のメールぐらいしか出来なくてごめんなさい。
- 申込数
- 28
- 在庫数
- 制限なし
- 発送完了予定月
- 2023年4月
1,500円+システム利用料

感謝のメール a
お金に困っておりお礼のメールぐらいしか出来なくてごめんなさい。
- 申込数
- 31
- 在庫数
- 制限なし
- 発送完了予定月
- 2023年4月
3,000円+システム利用料

感謝のメール b
お金に困っておりお礼のメールぐらいしか出来なくてごめんなさい。
- 申込数
- 28
- 在庫数
- 制限なし
- 発送完了予定月
- 2023年4月

ジジを助けたいです。元野良猫ジジのFIP治療費のお願い。
- 現在
- 515,000円
- 支援者
- 92人
- 残り
- 3日

救う命を選ばない。どんな犬猫も保護し続け福岡の里親さんを増やしたい
#動物
- 現在
- 3,253,000円
- 支援者
- 309人
- 残り
- 7時間

保護猫応援ファームのサポーター募集中!保護猫活動の継続支援を!
- 総計
- 13人

シンデレラサポーター募集「飼い主のいない猫」から「幸せな飼い猫」へ
- 総計
- 62人

【尿管閉塞】愛猫ノエルくんに治療費のご支援をお願い致します。
- 現在
- 166,000円
- 支援者
- 29人
- 残り
- 9日

老病ねこたちが最後まで安心して過ごせるおうちを守っていきたい!
#医療・福祉
- 現在
- 2,039,000円
- 支援者
- 161人
- 残り
- 7日

せぴうるにゃんこサポーター募集
- 総計
- 19人









