
支援総額
目標金額 1,200,000円
- 支援者
- 124人
- 募集終了日
- 2024年8月31日

命の危機が迫っています!僧帽弁閉鎖不全症・三尖弁閉鎖不全症
#医療・福祉
- 現在
- 737,000円
- 支援者
- 64人
- 残り
- 16日

ジジを助けたいです。元野良猫ジジのFIP治療費のお願い。
#動物
- 現在
- 530,000円
- 支援者
- 94人
- 残り
- 2日

老病ねこたちが最後まで安心して過ごせるおうちを守っていきたい!
#医療・福祉
- 現在
- 2,065,000円
- 支援者
- 165人
- 残り
- 6日

【進行性脊髄軟化症】2度大手術をしたイブラへ、治療費ご支援のお願い
#医療・福祉
- 現在
- 239,000円
- 支援者
- 36人
- 残り
- 12日

“まあくんの家“応援隊募集‼︎行き先のない子達の医療と継続のために
#動物
- 総計
- 188人

遺されたニャンズにより良い生活環境を…
#動物
- 現在
- 63,500円
- 支援者
- 13人
- 残り
- 17日

【4歳10ヶ月悪性リンパ腫】愛猫きなこの抗がん剤治療のためのご支援
#医療・福祉
- 現在
- 237,000円
- 支援者
- 62人
- 残り
- 32日
プロジェクト本文
終了報告を読む
▼自己紹介
はじめまして今回はこの記事を見て頂き有難うございます。
私は現在、娘2人と夫、保護猫3匹、犬1匹で沖縄で暮らしています。
子供の頃から動物が好きで、いつか大型犬を飼いたいと思っていましたが子供も小さかったので諦めていました。
ですが年齢的な事も考えると(体力のあるうちに)今しかない!と決心し家族を説得してようやくレオンを家族に向かい入れる事ができました。今では我が家のムードメーカーです。
▼レオンについて
現在レオンは4歳になる男の子です。穏やかな性格で、先住猫2匹と一年前に保護した猫と仲良く暮らしています。
1年前に保護した子猫、(当時はまだ目も見えない)月ちゃんの排泄のお世話など面倒見の良いレオンくんです。
↑大人になってもレオンにべったりの月ちゃん
▼プロジェクトを立ち上げたきっかけ
2020年7月
レオンは生後3ヶ月に関東のブリーダーさんから家族に迎入れました。
当初から下痢、食欲不振、皮膚湿疹があり、獣医さんに診てもらうと、お腹には寄生虫(母犬からの感染か、不衛生な環境飼育が原因)なようです。
皮膚はマラセチア菌がいて、塗り薬、内服薬で治療していき完治致しました。
2021年2月
去勢手術を受ける際の検査で、睾丸が降りていない(遺伝性の病気)停留睾丸と診断され、通常の去勢手術とは違う、お腹を切っての睾丸摘出手術となりました。
小さい頃より病気がちで治療費もかさみましたが、ようやく落ちつてきたかなっと思ったやさき
2023年12月頃
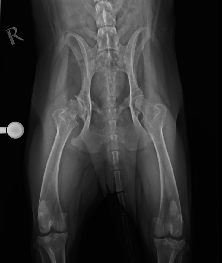
左脚に跛行があり、近所の動物病院で診てもらい、痛み止めでの経過観察となりましたが、症状は悪くなるばかりで、別の大きな動物病院を受診しました。
レントゲンの結果、両足の股関節形成不全が確認され、今後を考えると歩けなくなる可能性が高く、元のように歩けるには(人工関節全置換手術)を受ける必要があるとの事でした。
ですが沖縄県では(人工関節全置換術)ができる病院がなくインターネットで人工関節手術のできる病院を調べて、
先日6/28県外の動物病院を受診しました。
飛行機を降りたあと、レオンは歩けなくなってしまい病院に連れて行くまでが大変でしたが、なんとかたどり着き獣医さんに診てもらうことが出来ました。
左後脚十字靭損傷の可能性があり後日、関節鏡を入れての検査をする必要があるのとでした。
私達が遠方からきたこともあり、獣医さんはその日のうちにレオンを預かって下さり、私達は一旦沖縄へ戻りました。
翌日の検査結果で十字靱帯完全断裂と診断され、6月29日に靭帯損傷の(関節鏡+TPLO手術)になりました。
7/4に無事に退院し、その後手術をうけた獣医さんと沖縄の獣医さんが連携をとってくれて抜糸は沖縄県内でする事ができました。
今後の流れとしては、次に股関節形成不全の治療で(人工関節全置換術)を受けるのがベストとの事でした。
現在は地元の動物病院でリハビリ中です。
※手術は片方の脚だけでいいそうです。
※獣医からは、左足十字断裂後にもう片方の右脚も断裂する子が多いので注意するようにとの事でした。
この手術で(薬代、入院費込み743.622円)と往復飛行機代(2回分で12万円)は自己資金で賄いました。
※ペット保険に加入していますが、年間50万円までの限度額があり、今回かかった費用74万円の内、50%の37万は保険会社から補填される予定です。
※10/13に予定している股関節形成不全術(人工関節全置換術)110万円に交通費の飛行機代など含め高額なため、補えずこのクラウドファンディングを申請させて頂きました。
▼プロジェクト内容
私、護得久 美奈が飼っているシェパード雄、4歳が6/29に左膝前十字靭帯損傷のため(関節鏡+TPLO術)をうけました。(県外で)
3か月後の同じ病院で
※10/13に股関節形成不全のため(人工関節全置換術)をうけます。(片方のみ)
▼資金の使途
左後脚十字靱帯断裂(関節鏡+TPLO術) 743.622円 完了
右股関節形成不全(人工関節全置換術)
手術前検査、治療費、手術費、入院費、
検査費込み(片方の脚のみ) 110万円
合1.843.62円
▼プロジェクトの展望・ビジョン
同じ病気で苦しんでいるペット、飼い主、又はこれから新しくペットを家族に向かい入れる方へ、股関節形成不全という遺伝性の病気を知って頂き、生後4か月ごろには股関節の検査をすることで早期発でき、予防治療ができる事を伝えたいです。
又、ブリーダー様へのお願いとして遺伝的な病気で苦しむペットを増やさない為、繁殖の前の段階での遺伝子検査や健康チェックをする事の重要さを広めていきたいです。(SNSなどで)
医療費が高額で手術が受けきれず、散歩も痛みで行きたがらなくなってきていて、
毎日寝てばかりのレオンです。
筋肉も落ちてきています。
本来飼い主である私が医療費用を負担しなくてはいけないのは重々承知の上での申請です。
大型犬は寿命が短いとされていますが、最後まで出来るだけの事はやってあげたいです。
レオンが又、以前のように元気になったら、キャンプしたり海にいったり色んな場所に連れて行きたいです。
宜しくお願い致します。
↑大好きなキャンプ⛺️
レオンが元気だった頃にあげていたYouTubeやインスタも見て頂けると嬉しいです。
元気になったら再開する予定です。
@user755930694851
<プロジェクトについて>
(1)資金の使途
※全額レオンの医療費に使わさせて頂きます。
左膝後脚前十字靱帯断裂(関節鏡+TPLO術)743.622円 完了
片方のみ(右後ろ脚)
股関節形成不全(人工関節全置換術) 110万円
合計1.843.622円
(2)目標金額
120万円
(資金の内訳)
今までの治療費 :743.622円(A病院)完了
今後の治療費:110万円(A病院)
合計1.843.622円
(3)治療期間
2024年10月13日~2024年10月25日(退院予定日) ※レオンの体調により前後します。
※治療内容や治療費、治療期間は動物病院の確認が取れています。
<ご支援にあたっての注意事項>
▶︎ 1. ペット保険について
①ペット保険による補償の有無:有
②補填対象の治療名:左脚十字靭帯断裂による(関節鏡+TPLO手術)入院、薬等込み 74万円の
内37万円は保険会社から補填される予定です。
残りの金額110万円 股関節形成不全(人工関節全置換術)費用をクラウドファンディングで集めたく申請致しました。
※変更のある場合は速やかに報告致します。
飛行機などの交通費、往復12万の2回分、足りない分についてはは自己負担致します。
▶︎ 2. 万が一レオンが亡くなってしまった場合、いただいた支援金については、返金はせずこれまでの治療費に当てさせていただきます。
▶︎ 3. 問い合わせ先について
本クラウドファンディングに関するお問合せは以下までご連絡ください。
連絡先:ai02021111@icloud.com
▶︎ 4. 掲載している資料について
ページ上に掲載している診断書や診療明細書などの資料は全て動物病院から掲載の許諾を得ております。
▶︎ 5. 治療方針などが変更になった場合について
プロジェクト実施完了までの間に、治療方針や治療の要否に変更が生じた場合、支援者の皆様、READYFOR事務局に速やかにお伝えします。
▶︎ 6. READYFOR事務局からのご連絡
ペットの治療費用を集めるクラウドファンディングに関しては、以下のガイドラインもご確認ください。
【ペットの治療費用を集めるクラウドファンディングに関する当社の考え】
https://legal.readyfor.jp/guidelines/launching_project/pet_care/
- プロジェクト実行責任者:
- 護得久 美奈
- プロジェクト実施完了日:
- 2024年10月25日
プロジェクト概要と集めた資金の使途
私、護得久 美奈が飼っているシェパード雄、4歳が 2024年10/13に県外の動物病院で股関節形成不全により人工関節手術(股関節全置換術)をうけます。 退院予定10/25 ※レオンの体調により前後します。 ※資金はすべて医療費、人工関節全治置換手術、入院費、術前検査費、処置費に使わさせて頂きます。 ※飛行機など交通費は自己負担
リスク&チャレンジ
- プロジェクトに必要な金額と目標金額の差額について
- 必要金額との差額は自己負担で補填します。
あなたのシェアでプロジェクトをさらに応援しよう!
プロフィール
あなたのシェアでプロジェクトをさらに応援しよう!
リターン
1,000円+システム利用料

レオン応援1 有難うございます。
感謝のメールと元気になったレオンの画像を送らさせて頂きます。
- 申込数
- 45
- 在庫数
- 制限なし
- 発送完了予定月
- 2024年11月
3,000円+システム利用料

レオン応援2 有難うございます。
感謝のメールと元気になったレオンの画像を送らさせて頂きます。
- 申込数
- 19
- 在庫数
- 制限なし
- 発送完了予定月
- 2024年11月
1,000円+システム利用料

レオン応援1 有難うございます。
感謝のメールと元気になったレオンの画像を送らさせて頂きます。
- 申込数
- 45
- 在庫数
- 制限なし
- 発送完了予定月
- 2024年11月
3,000円+システム利用料

レオン応援2 有難うございます。
感謝のメールと元気になったレオンの画像を送らさせて頂きます。
- 申込数
- 19
- 在庫数
- 制限なし
- 発送完了予定月
- 2024年11月











